不動産をAIが瞬時に査定。マンション・戸建てに対応しています。ご利用は無料。最新の相場を反映し続けるので、常に市場に沿った不動産価格を把握し続けられます。
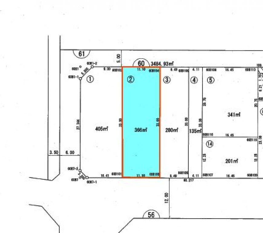
| 所在地 | 静岡県浜松市天竜区船明区画整理地内60街区2画地 |
|---|---|
| 交通 |
天竜浜名湖鉄道 二俣本町駅 |
| 面積/区画番号 | 366.00m² (実測) / |
| 価格 | 664万円 |
| 土地権利 | 所有権 |
| 都市計画/用途地域 | 市街化区域 / 第二種中高層住居 |
| 建蔽率/容積率 | 60% / 150% |
| 地目/地勢 | 田・畑/- - 私道負担:- - |
| 接道/セットバック | 南側12.00m公道に11.10m接道 / 北側5.00m公道に11.10m接道 / - - |
| 現況・引渡 | 更地 相談 |
| 情報更新日 | 2024年07月04日 |
| 設備条件/設備備考 | / プロパンガス 電気 下水道 側溝 |
|---|---|
| 学校区 | 浜松市立光明小学校まで1,500m 浜松市立光が丘中学校まで1,500m |
| お問い合わせ先 | |
|---|---|
| 会社名 | 株式会社カワイICOI不動産事業部 |
| 住所 | 静岡県磐田市合代島1212 |
| TEL | 0539-62-9200 |
| 物件番号 | 0078-00000028 |